Desde hoy y de acuerdo a las estadísticas, comienza la temporada de huracanes para el Atlántico Norte (Incluye El Caribe y Golfo de México) la cual se extenderá hasta el 30 de noviembre. El Centro Nacional de Huracanes, adelantó la semana pasada que la actual temporada de huracanes debe estar “cerca o debajo del promedio”, donde se estima se formen entre ocho y trece tormentas tropicales, de las cuales entre tres y seis pueden llegar a ser huracanes.

Sin embargo el director del Centro Nacional de Huracanes, Rick Knabb, teme que poblaciones como Florida hayan bajado la guardia luego de varios años sin verse afectadas. La temporada de huracanes 2014 puede ser menos activa de lo normal, pero todas las zonas de riesgo desde El Caribe a Estados Unidos deben prepararse, porque nunca se sabe dónde golpeará la próxima tormenta. “Aunque las probabilidades de sufrir un impacto severo donde vives sean relativamente pequeñas este año, las consecuencias de no prepararse son muy altas”, dijo el director del Centro Nacional de Huracanes de la Agencia Nacional Oceánica y Atmosférica (NOAA), Rick Knabb, en entrevista con la AFP el jueves en las oficinas en Miami. “Sin importar las previsiones para la temporada, de lo que el fenómeno ‘El Niño’ haga, de cuántos años hayan pasado desde que sufrimos un impacto, tenemos que prepararnos igual porque cada año es diferente, cada tormenta es diferente y no podemos predecir desde ahora a dónde se dirigirá una tormenta”, señaló.

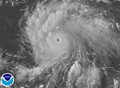
Huracán Ingrid que afectara a México la temporada pasada
El año pasado la NOAA había anunciado una activa temporada de huracanes, con entre tres a seis huracanes, pero en definitiva fue la temporada más calmada desde 1982, con 13 tormentas, y solo dos se convirtieron en huracanes. “Las previsiones de la temporada no tienen una precisión exacta, como se puso en evidencia el año pasado”, admitió Knabb. “Pero aunque pudiéramos emitir un pronóstico perfecto en términos de número de huracanes y tormentas, no sabríamos hacia dónde van a ir los huracanes y las tormentas”, insistió.
¿Puede un ciclón tropical afectar a Venezuela?
Venezuela se encuentra en una zona por donde pasan muchos de estos sistemas tropicales (Depresiones, Tormentas y Huracanes). Aunque nuestro país muy rara vez es afectado por Huracanes, ya que la mayoría se forman en el Atlántico frente a las costas de África, luego avanzan al Oeste girando gradualmente al Nor-noroeste y se fortalecen mediante humedad proveniente de la evaporación a temperaturas marítimas superiores o iguales a 27ºC. Pero cuando hay otros factores como por ejemplo una zona de Alta presión muy cercana al Caribe Oriental, trae como consecuencia que su movimiento hacia el Nor-noroeste se encuentre obstaculizado lo que obliga al sistema a seguir su rumbo hacia el Oeste y a veces al Suroeste manteniendo una latitud entre 9 y 11º Norte. Este fue el caso de la Tormenta Bret en 1993 que azotó las costas de Venezuela donde se presentó con niveles pluviométricos excepcionales, y causó aproximadamente 200 muertes por desplazamientos de laderas montañosas en Caracas. Normalmente estas perturbaciones pasan sobre El Caribe o más retiradas al Norte provocando solamente un efecto indirecto sobre el país, originando reforzamiento de la Zona de Convergencia Intertropical y como consecuencia fuertes precipitaciones y descargas eléctricas en gran parte del territorio.

Huracán Mayor Felix, septiembre 2007, activando nubosidad sobre Venezuela
Un análisis basado en la distribución Poisson ha sido llevado a cabo, para determinar la probabilidad de que un ciclón tropical incursione en territorio venezolano en una temporada de huracanes promedio. La probable afectación directa producida por este tipo de sistemas sobre la costa nacional es muy baja con magnitudes que alcanzan en los escenarios más adversos 4,9% de probabilidad, debido principalmente a la presencia de una intensa cizalladura vertical, producto de una corriente de chorro en el Caribe. Los sistemas estudiados se caracterizaron por su formación en latitudes bajas, y presentan un máximo de actividad ciclónica en agosto, así como trayectorias rectilíneas en sentido Oeste – Noroeste (Estatio J. Gutiérrez Q., 2007).

Señala el mismo autor del estudio, que “desde que se tiene registro, sólo “los centros” de seis ciclones tropicales han penetrado algún punto del territorio nacional que colinda con el Mar Caribe. Los ojos de los huracanes Nº 4 y Nº 7 en 1877 y 1892 respectivamente, se desplazaron sobre la península de Paraguaná con vientos mayores a los 95 nudos lo que representa huracanes de carácter intenso. Adicionalmente, los sistemas Nº 2 (1933), Alma (1974), Joan (1988) y Bret (1993) tocaron tierra venezolana con fuerza de tormenta tropical principalmente sobre las costas oriental y occidental”. A pesar de este comportamiento, existe una afectación indirecta, que es asociada a la modificación de las condiciones meteorológicas de ciertas zonas del país cuando pasa un ciclón tropical sobre las aguas del Mar Caribe. Las consecuencias de dicho desplazamiento se evidencian principalmente en eventos de precipitaciones fuertes, aumento de la velocidad del viento y el incremento del oleaje. Ejemplo de ello, lo constituye el paso del huracán Iván en 2005, que produjo una serie de pérdidas materiales en las costas central y oriental debido al fuerte oleaje y, a los intensos vientos registrados.

Huracán Tomas 2010 al SE de Barbados, muy próximo a las costas venezolanas. Otro ejemplo de la aproximación de éstos sistemas a nuestro país.
Los ciclones tropicales, que han influido de manera directa o indirecta en las condiciones meteorológicas del territorio nacional, se caracterizaron por originarse en latitudes bajas, como ha pasado con las primeras Ondas Tropicales de ésta temporada, respecto a las típicas áreas de formación, las cuales muestran una gran relación con las regiones de mínima o cero cizalladura vertical del viento zonal en los meses que conforman la temporada de huracanes. Adicionalmente, los sistemas desarrollaron trayectorias básicamente rectilíneas en dirección Noroeste o franco Norte y, en algunos casos recurvando hacia la izquierda experimentando un descenso en latitud. La costa occidental ha sido la zona más afectada por el paso directo de ciclones tropicales, principalmente por su mayor prolongación septentrional y, por la intensidad que adquieren los sistemas al llegar a ella después de un recorrido que generalmente comienza al Occidente de los 80º W. Ésta área será la más propensa, tanto al desplazamiento directo, y en sus adyacencias, de una tormenta tropical o huracán, según lo refleja el análisis de los períodos de retorno. Se dice que un ciclón tropical ha entrado a territorio, cuando únicamente se determina que el centro del sistema se encuentra sobre el mismo. No comparto el término de “coletazo”, cola del huracán, entre otros. Los ciclones no son como los cometas, no tienen colas. A pesar de que “coletazo” pudiera definir algún efecto colateral del sistema, en la meteorología cada ocurrencia tiene su nombre y así hay que llamarlo, por ejemplo:
- Si un ciclón pasa cerca de Venezuela y activa la Zona de Convergencia Intertropical, así se debe señalar y no hablar de colas o cosas similares.
- Si las bandas del sistema pasan sobre territorio, se debe indicar que son las bandas del ciclón y no el propio sistema que nos está afectando directamente o su “cola”.
Particularmente creo, que no estamos exentos de ser tocados nuevamente por un ciclón tropical. A pesar de que los indicadores son muy bajos, debemos tomar conciencia y estar preparados ante esta nueva temporada de huracanes a pesar de estar señalada como poco activa. Ya sabemos que el sólo hecho de pasar muy cerca, nos podría traer fuertes lluvias en buena parte del país y por supuesto de llegar a entrar algún ciclón de estos (como ya ha ocurrido) a tierra, las consecuencias serían incalculables en virtud del crecimiento de nuestra población y la poca cultura que tenemos al respecto. La incidencia de éstos sistemas tropicales, varían de temporada en temporada, por lo cual debemos estar atentos a los avisos puntuales y el seguimiento de los ciclones durante éste 2014.
